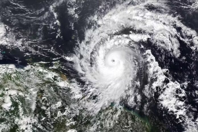
O furacão Beryl recuperou intensidade, na noite dessa quinta-feira (5/7), enquanto se aproxima do México. Conforme informações do Centro Nacional de Furacões dos Estados Unidos (NHC), Beryl foi elevado novamente à categoria 3. O fenômeno deve atingir a península mexicana de Yucatán na manhã desta sexta-feira (6/7). A região é conhecida por abrigar a popular cidade turística de Cancún. Ventos de até 185 km/h são esperados, segundo as autoridades. Nos últimos dias, Beryl deixou um rastro de destruição pelo Caribe, resultando em pelo menos 11 mortes. O México tem se preparado intensamente para enfrentar o fenômeno. Hotéis e comércios foram fechados e algumas comunidades evacuadas. 6 imagensFechar modal.1 de 6Furacão Beryl Divulgação/Nasa2 de 6Centro Nacional de Furacões monitora a atividade do furacão Beryl no Caribe Reprodução/ Getty Images 3 de 6Furacão Beryl Divulgação da Administração Oceânica e Atmosférica Nacional (NOAA)/GOES 4 de 6Destruição do furacão Beryl no CaribeJoe Raedle/Getty Images5 de 6Casas destruída pelo furacão Beryl na JamaicaJoe Raedle/Getty Images6 de 6Moradores de ilhas do Caribe, como a Jamaica, tentam resconstruir casas após passagem do furacão BerylJoe Raedle/Getty Images Medidas de segurança contra o furacão Beryl Medidas de proteção também incluíram a retirada de ovos de tartaruga-de-pente das praias, para preservar a espécie ameaçada. Francisco Bencomo, gerente de um hotel em Tulum, informou que espera a retomada das atividades e o retorno dos hóspedes somente a partir do dia 10 de julho. “Esperamos que o impacto seja mínimo e que a situação não se agrave”, declarou ele. Funcionários do hotel também serão abrigados em um local seguro. O NHC informou que, após passar pela Jamaica, Beryl havia perdido força, sendo rebaixado para a categoria 2. No entanto, a tempestade voltou a se intensificar ao se aproximar do México, recuperando a categoria 3 na noite de quinta-feira.
Furacão Beryl chega ao México e deve atingir Cancún
Publicado:
compartilhe esse conteúdo
Compartilhe esse artigo:

